asNeeded
Type of resources
Available actions
Topics
Categories
Keywords
Contact for the resource
Provided by
Years
Representation types
Update frequencies
status
-
As Cartas Imagens do estado do Tocantins correspondem a um tipo de representação cartográfica constituída por mosaico de imagens de satélite ortorretificadas, com nomes geográficos e informações marginais, obedecendo ao recorte das folhas do Mapeamento Sistemático Terrestre na escala de 1:100.00, onde 1cm=1km. Este produto possui propriedades geométricas de uma folha topográfica.As Cartas Imagens integram o projeto "Base Cartográfica 1:100.000" (BC100), e foram produzidas a partir de imagens do sensor AVNIR-2, com 10 metros de resolução espacial, adquiridas entre os anos de 2006 e 2010, sendo 91% delas nos anos de 2009 e 2010.
-
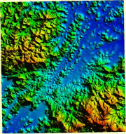
O Modelo Digital de Elevação, que integra o projeto RJ-25, representa o modelo numérico das características altimétricas da superfície, articuladas por folhas segundo o recorte do mapeamento sistemático brasileiro. Abrange um quadrilátero geográfico de 07’30’’ de latitude por 07’30’’ de longitude.
-
O Modelo Digital de Elevação, que integra o projeto RJ-25, representa o modelo numérico das características altimétricas da superfície, articuladas por folhas segundo o recorte do mapeamento sistemático brasileiro. Abrange um quadrilátero geográfico de 07’30’’ de latitude por 07’30’’ de longitude.
-
O ortofotomosaico 1:25.000, que integra o projeto SC25, é formado por um mosaico de fotografias aéreas coloridas ortorretificadas, articuladas por folhas, segundo o recorte do mapeamento sistemático brasileiro. Abrange um quadrilátero geográfico de 07'30'' de latitude por 07'30'' de longitude, não existindo representação de curvas de nível e pontos cotados.
-
As imagens de satélite ortorretificadas correspondem às cenas referenciadas a um sistema de coordenadas, corrigidas geometricamente com pontos de apoio de campo e ortorretificadas com modelos digitais de elevação para correção de relevo. As imagens estão em formato Geotiff com 4 bandas espectrais de 8 bits cada.
-
As imagens de satélite ortorretificadas correspondem às cenas referenciadas a um sistema de coordenadas, corrigidas geometricamente com pontos de apoio de campo e ortorretificadas com modelos digitais de elevação para correção de relevo. As imagens estão em formato Geotiff com 4 bandas espectrais de 8 bits cada.
-
O Modelo Digital de Elevação, que integra o projeto RJ-25, representa o modelo numérico das características altimétricas da superfície, articuladas por folhas segundo o recorte do mapeamento sistemático brasileiro. Abrange um quadrilátero geográfico de 07’30’’ de latitude por 07’30’’ de longitude.
-
As imagens de satélite ortorretificadas correspondem às cenas referenciadas a um sistema de coordenadas, corrigidas geometricamente com pontos de apoio de campo e ortorretificadas com modelos digitais de elevação para correção de relevo. As imagens estão em formato Geotiff com 4 bandas espectrais de 8 bits cada.
-
As imagens de satélite ortorretificadas correspondem às cenas referenciadas a um sistema de coordenadas, corrigidas geometricamente com pontos de apoio de campo e ortorretificadas com modelos digitais de elevação para correção de relevo. As imagens estão em formato Geotiff com 4 bandas espectrais de 8 bits cada.
-
As imagens de satélite ortorretificadas correspondem às cenas referenciadas a um sistema de coordenadas, corrigidas geometricamente com pontos de apoio de campo e ortorretificadas com modelos digitais de elevação para correção de relevo. As imagens estão em formato Geotiff com 4 bandas espectrais de 8 bits cada.
IBGE - Catálogo de Metadados Geográficos